Property ID: 1P1940
10 Flowers Road Caboolture QLD
Offers Over $690,000
-
Land
-
For Sale
-
3200 sqm
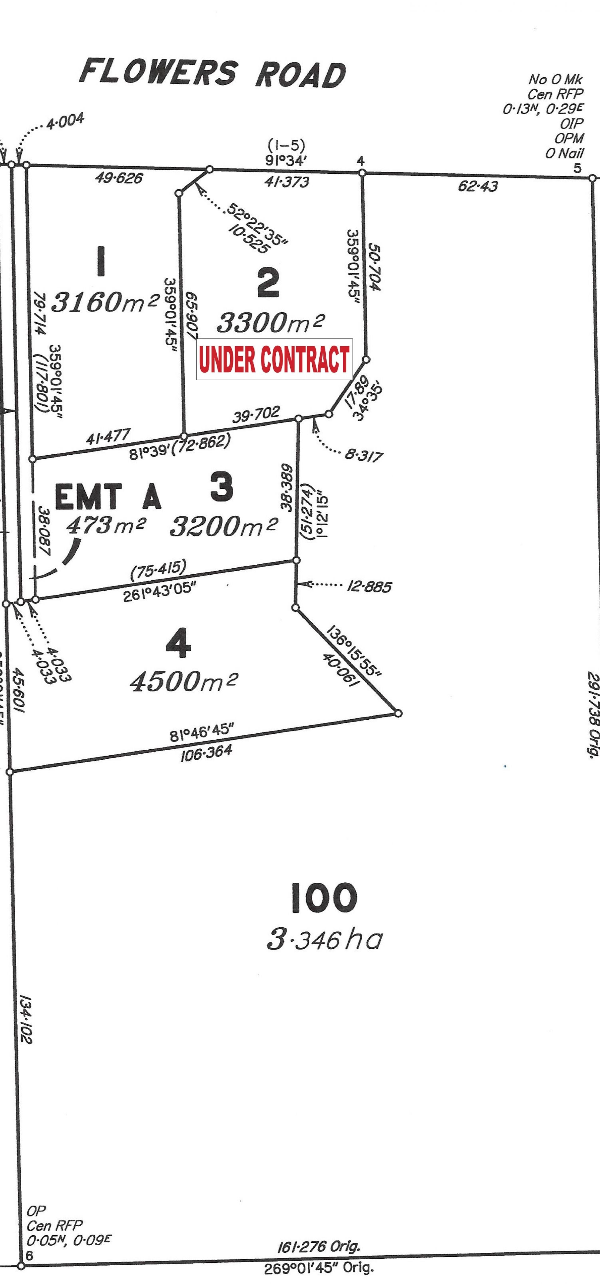
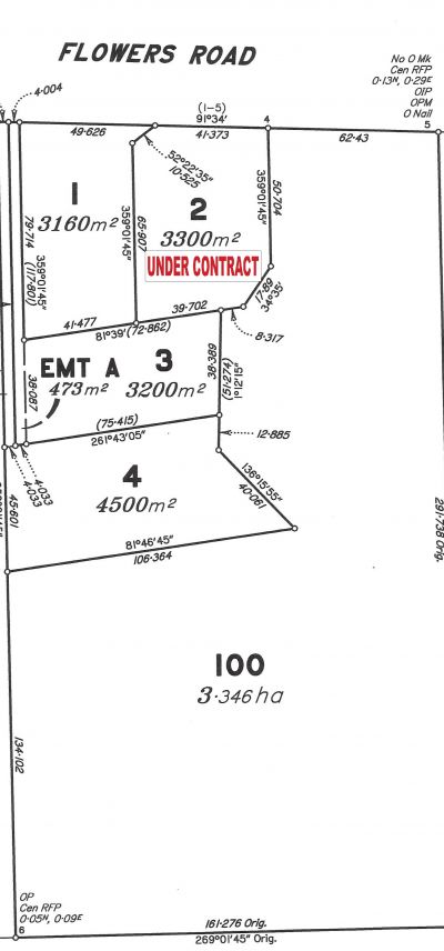
Premium Quality Land - Now Under Contract!
Three available spacious lots from 3200m2 to 4500m2 close to all local services. NOW ALL UNDER CONTRACT.
Exclusive pocket surrounded by Council Fauna and Flora Reserve on three sides. Gently sloping, substantially cleared blocks with no covenants, ready for your dream home!
This location provides a wonderful balance of peaceful rural living and convenient access to nearby amenities.
Lot 3: 3,200m2 fenced on two sides, Fauna & Flora Reserve on two sides. Offers over $690,000 UNDER CONTRACT
Lot 2: 3,300m2 private driveway, fenced on two sides, North facing, fruit trees, Fauna & Flora Reserve on one side. UNDER CONTRACT
Lot 4: 4,500m2 huge block! fenced on three sides, only one neighbour ever, Fauna & Flora Reserve on three sides. Offers Over $840,000 UNDER CONTRACT
Coles, Bunnings, Big Fish Shopping Centre - 1.8km
Brisbane & Sunshine Coast Freeway Exits - 2km
Pumicestone Road State School - 1km
Child Care 1.2km
Drakes IGA & Pumicestone Village Medical Centre 1.2km
Caboolture Hospital 4.4km
Caboolture Train Station 4.4km
NBN, Town water & electricity to all blocks.
Premium land located this close to major amenities is becoming very hard to find. With only two blocks now available, put these on your list to view now!
Don't miss your chance to be immersed in nature while still close to everything.
Exclusive pocket surrounded by Council Fauna and Flora Reserve on three sides. Gently sloping, substantially cleared blocks with no covenants, ready for your dream home!
This location provides a wonderful balance of peaceful rural living and convenient access to nearby amenities.
Lot 3: 3,200m2 fenced on two sides, Fauna & Flora Reserve on two sides. Offers over $690,000 UNDER CONTRACT
Lot 2: 3,300m2 private driveway, fenced on two sides, North facing, fruit trees, Fauna & Flora Reserve on one side. UNDER CONTRACT
Lot 4: 4,500m2 huge block! fenced on three sides, only one neighbour ever, Fauna & Flora Reserve on three sides. Offers Over $840,000 UNDER CONTRACT
Coles, Bunnings, Big Fish Shopping Centre - 1.8km
Brisbane & Sunshine Coast Freeway Exits - 2km
Pumicestone Road State School - 1km
Child Care 1.2km
Drakes IGA & Pumicestone Village Medical Centre 1.2km
Caboolture Hospital 4.4km
Caboolture Train Station 4.4km
NBN, Town water & electricity to all blocks.
Premium land located this close to major amenities is becoming very hard to find. With only two blocks now available, put these on your list to view now!
Don't miss your chance to be immersed in nature while still close to everything.
